Keresés

Menü

Korszerű hőkamerák szakmai szemmel (VI)

GyártásTrend 2015/07-08, Műszaki diagnosztika rovat

Korszerű hőkamerák szakmai szemmel (VI)

A képminőségre nézve döntő a hőmérséklet-felbontás

Ebben a részben a legelterjedtebb lencséket és szerepüket (esetenként „mellékhatásukat”) vesszük számba, majd rátérünk a hőkamerák termikus felbontására, illetve a mérési képességet csak részben befolyásoló hőmérséklet-mérési tartományára.

Standard lencse

A hőkamera detektorának pixelfelbontásától függően ezekkel az objektívekkel nagyságrendileg 20×15°–30×25° látómezők mellett 2,4 – 0,6 mrad geometriai felbontás érhető el.

Teleobjektív

A standard lencsékkel összehasonlítva tipikusan a látómező mindkét dimenziójának megfelezése mellett dupla olyan jó (számszerűen megfeleződött) geometriai felbontás érhető el. Vannak még „nagyobb” teleobjektívek is, amelyek a látómező méretei és a geometriai felbontás negyedelését vagy akár tizedelését nyújtják, ugyanilyen mértékben javítva a geometriai felbontást.

Nagy látószögű lencse

A standard lencsékhez viszonyítva tipikusan a látómező mindkét dimenziójának megduplázása érhető el, de e mellett felére csökken (számszerűen megduplázódik) a geometriai felbontás. Vannak úgynevezett szuper széles nagy látószögű lencsék is, amelyekkel a látómező méreteinek és a geometriai felbontásnak négyszerezése érhető el (a geometriai felbontás negyedére való lerontása mellett).

Előtétlencsék, makrolencsék

Ezeknek a lencséknek az elsődleges szerepe a standard lencsék, illetve a teleobjektívek legkisebb mérési távolságának (minimális fókusztávolság) csökkentése, ezzel lehetővé téve, hogy nagyon kicsi tárgyakat is meg lehessen mérni a geometriai felbontás követelményének megfelelő kis távolságokból.

Korszerű hőkamerák szakmai szemmel (VI) - Mikroszkóp-lencsével elérhető felbontás (forrás: Infratec)
1. ábra: makrólencsével ill. mikroszkóp-objektív használatával elérhető hőkép-felbontás [forrás: InfraTec]

Mikroszkóplencsék

A mikroszkóplencsék különleges kis tárgyak mérésére használatosak. Általában csak egyedi rendelésre gyártják őket, megjelenítési képességeik az optikai mikroszkópokhoz hasonlóak (természetesen a hősugárzás hullámhossz-tartományában). Gyakorlati hátrányuk a nagy méretük, a súlyuk és a költségük mellett az optikai törvényeknek megfelelő minimális mélységélességük.

Átgondolt alkalmazás szükséges

Külön fel kell hívni a figyelmet a nagy látószögű lencsék gyakran teljesen téves alkalmazására. Ha például az volt a gondunk, hogy a geometriai felbontás korlátjának betartása mellett meghatározott maximális mérési távolságból a mérendő tárgy (például kapcsolószekrény) csak egy részét lehetett egy-egy hőképen rögzíteni, akkor a látómező megnövelése céljából beszerzett nagy látószögű lencse alkalmazása nemhogy nem oldja meg a problémánkat, hanem még ront is a helyzetünkön. Ugyanis a mindkét irányban kétszeres látómezőt eredményező nagy látószögű lencse révén felére lerontott geometriai felbontás miatt a mérésünk már csak legfeljebb az eddigi távolság feléből végezhető el.

A mérésünk látómezeje tehát valójában még sem nőtt meg (pont ugyanakkora maradt), viszont a kép torzítása mellett a tárgyfelület megtekintési szöge – elsősorban a széle felé – meglehetősen ferde is lehet. Ez pedig további negatív hatással van a mérésünk pontosságára és kiértékelhetőségére. (Megjegyzés: leginkább csak az épületek beltéri termográfiája esetén van igazi létjogosultsága a nagy látószögű objektíveknek. Más szakmákban való alkalmazásuk előtt gondosan kell átgondolni, hogy az elért nagyobb látómező mellett nem keletkezik-e más, akár nagyságrendekkel súlyosabb optikai, illetve méréstechnikai hátrány.)

Hőkamerák termikus felbontása

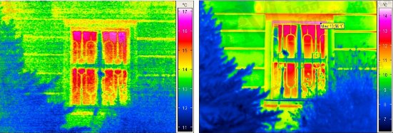
Különösen akkor, amikor a mérendő hőmérsékletek a hőkamera aktuális méréstartományának alsó határához közel vannak, a képminőséget döntően a hőmérséklet-felbontás határozza meg. A NETD (noise equivalent temperature difference) a hőkamera saját zajának effektív értéke, kifejezve az ugyanekkora villamos jelet eredményező tárgyhőmérséklet-különbségben. Ezt a hőkamera hőmérséklet-felbontási képességét minősítő paramétert rendszerint 30 °C-on határozzák meg. Viszont fontos tény, hogy az érték a tárgy hőmérsékletének csökkentésével majdnem exponenciálisan megnő.

Számpélda:

Egy gyengébb minőségű hőkamera 30°C-nál érvényes ±120 mK (+/-0,12°C) hőmérséklet-felbontásból a gyakorlatban már 0°C-on „könnyedén” ±0,25°C-os zaj lesz. Mivel ez az érték pixelenként értendő, a teljes hőkép hőmérséklet-felbontása csupán 0,5°C (mivel a pixelek elhelyezésüktől és egymástól függetlenül pont ellentétesen a maximumértékig tévedhetnek). A hőképen vizuálisan is összefüggő felületként biztosan felismerhető felület hőmérséklete viszont minimum a fenti értéknek kétszeresével kell eltérnie az őt körülvevő hőkép-pixelektől - tehát a felismerhetőség határát jelentő minimális hőmérséklet-eltérés jelen példában közel 1°C!

Korszerű hőkamerák szakmai szemmel (VI) - Elégtelen ill. jó termikus felbontás (forrás: PIM)
2. ábra: balra nem megfelelő termikus felbontású, jobbra megfelelő termikus felbontású hőkép [forrás: PIM]

Az elmondottak alapján könnyen felismerhető, hogy vannak olyan hőkamera-alkalmazási területek, amelyek esetében a hőkamera termikus felbontóképessége az egyik leglényegesebb minőségi (méréstechnikai) tényező, mások esetében pedig számottevő jelentősége nincs. Kritikus paraméternek számít a termikus felbontás a következő alkalmazások esetében:

Hőmérséklet-mérési tartomány(ok)

Nagyon gyakran felmerül az igény, hogy a hőkamera tudjon „magasabb” hőmérsékleteket is mérni. Mintha ez valamilyen nehéz feladat lenne! De nem az. A legtöbb (akár legolcsóbb) hőkamera is minimum 120 °C-ig mér, de akár 200, 250 vagy 350 °C-ig kiterjesztett méréstartományú low cost és standard hőkamerák is vannak szép számmal. Sokkal érdekesebb kérdés, hogy a mérési képességük hány Celsius-foktól kezdődik, milyen felbontásban (hány bites digitalizálással), illetve hány választható méréstartományra felbontva fedik át a teljes mérési képességét. Ugyanis csak az összes felsorolt adat ismeretében derül ki, hogy milyen képességű, illetve mérési pontosságú (minőségű) az adott hőkamera.

Az első megemlítendő minőségi paraméter a hőmérsékletértékek digitalizálásra vonatkozik. Léteznek 12, 14 vagy akár 16 bites készülékek, amelyek a kritikus legalacsonyabb (illetve egyetlen) méréstartományukon belül 160, 200, 240 vagy akár 360 °C hőmérsékletet ölelnek át. A várható pontosság igen szélsőséges: egy 12 bites low cost hőkamera egyetlen egy, –10 °C és +350 °C közé eső méréstartománnyal éppen hogy 360 K/4096 = ±87,9 mK digitalizálási felbontással rendelkezik, egy professzionális hőkamera (több választható méréstartománnyal) esetében ezzel szemben ez az érték 160 K/65536 = ± 2,4 mK. Ez nagyságrendi különbség! A második lényeges műszaki jellemző a hőkamera mérési tartományának alsó határa, mivel a Planck-féle sugárzási törvénynek megfelelően pont az alacsony hőmérsékletek mérése a legnehezebb (ekkor csupán minimális mennyiségű sugárzást bocsátanak ki a testek). Ez a feladat tehát a méréstechnikailag gondot okozó, és - a már említett - NETD tényezővel leírva a hőkamera saját zajára visszavezethetően a legkritikusabb. Ennek megfelelően a low cost hőkamerák legtöbbje éppen hogy 0 °C-től képes kalibrált mérésekre, néhány típus büszkélkedhet –10 °C-os alsó határral, és csak nagyon ritkán fordul elő a –20 °C-os alsó határ. Ezzel szemben a hosszúhullámú profi műszerek már –40 °C-tól képesek specifikációjuknak megfelelően pontos (és kalibrált) mérésre. Sok feladatnál (például épület-termográfiai külső méréseknél, biológiai vagy környezetvédelmi méréseknél) ez az a hőkamera alkalmazhatóságát eldöntő paraméter, mert garantáltan előfordulnak akár messze 0 °C alatti hőmérsékletű mérőpontok is.  

Rahne Eric (PIM Kft.) pim-kft.hu, termokamera.hu  

Kapcsolatfelvétel

A publikáció tartalmát szerzői jogok védik, ennek (akár csak részben történő) felhasználása, elektronikus vagy nyomtatott tovább-publikálása csak a forrás és a szerző nevének feltüntetése mellett, valamint a szerző előzetes írásos engedélyének megléte esetén megengedett. A szerzői jogok (Copyright) megsértése jogi következményekkel jár.

Copyright © PIM Professzionális Ipari Méréstechnika Kft.
2026 | Minden jog fenntartva
Impresszum | Adatkezelés

Korszerű hőkamerák szakmai szemmel (VI)