Keresés

Menü

Hőkamera-választék 2014 - Termikus felbontás

Hőkamerák típusválasztéka - aktuális piaci körkép szakmai szemmel

Termikus felbontás, mérési tartományok, speciális termográfiai szűrők

Az érintésmentes hőmérsékletméréshez alkalmas termográfiai eszközök (termogrammetriai képességű infrakamerák) ez elmúlt években rohamos fejlődésen keresztül mentek. Ha figyelembe veszünk, hogy ezek az eszközök éppen 50 éve jelentek meg, ma már viszont ez egyik legismertebb és leguniverzálisabb (legsokoldalúbb) vizsgálati eszközévé nőtték ki magukat, akkor ne lepődjünk meg a piaci kínálat sokféleségén (gyártók, típusok) sem. Egy hőkamera-beszerzést tervező ügyfélnek ebből kifolyólag most már nem az igényeinek megfelelő típus hiánya, hanem az óriási választék áttekinthetetlensége okoz gondot. Tehát eljött az ideje, hogy e műszerek fejlődését és típusait szakmai szemmel áttekintsük, valamint a jelenlegi kínálatát rendezzük néhány fontos műszaki paraméter alapján. Ugyanis: A kamerákban megvalósított mérési technológia és a hozzá kapható tartozékok meghatározzák a készülék alkalmazási területét, valamint a várható mérési pontosságot ill. az elérhető hőkép-minőséget.

Hőkamerák termikus felbontása

Különösen akkor, amikor a mérendő hőmérsékletek a hőkamera aktuális méréstartományának alsó határához közel vannak, a képminőséget döntően a hőmérséklet-felbontás határozza meg. A “NETD” (noise equivalent temperature difference) a hőkamera saját zajának effektívértéke, kifejezve az ugyanekkora villamos jelet eredményező tárgyhőmérséklet-különbségben. Ezt a hőkamera hőmérséklet-felbontási képességet minősítő paramétert rendszerint 30°C–nál határozzák meg. Viszont fontos tény, hogy ez az érték a tárgy hőmérsékletének csökkentésével majdnem exponenciálisan megnő.

Számpélda:

Egy gyengébb minőségű hőkamera 30°C-nál érvényes ±120 mK (+/-0,12°C) hőmérséklet-felbontásból a gyakorlatban már 0°C-on „könnyedén” ±0,25°C-os zaj lesz. Mivel ez az érték pixelenként értendő, a teljes hőkép hőmérséklet-felbontása csupán 0,5°C (mivel a pixelek elhelyezésüktől és egymástól függetlenül pont ellentétesen a maximumértékig tévedhetnek). A hőképen vizuálisan is összefüggő felületként biztosan felismerhető felület hőmérséklete viszont minimum a fenti értéknek kétszeresével kell eltérnie az őt körülvevő hőkép-pixelektől - tehát a felismerhetőség határát jelentő minimális hőmérséklet-eltérés jelen példában közel 1°C!
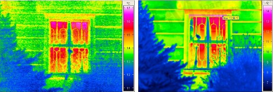
Hőkamera-választék 2014 - Termikus felbontás - Elégtelen ill. jó termikus felbontás (forrás: PIM)
Ábra: balra nem megfelelő termikus felbontású, jobbra megfelelő termikus felbontású hőkép [forrás: PIM]

Fentiek alapján könnyen felismerhető, hogy vannak olyan hőkamera-alkalmazási területek, melyek esetében a hőkamera termikus felbontó-képessége az egyik leglényegesebb minőségi (méréstechnikai) tényező, mások esetében pedig számottevő jelentősége nincs. Kritikus paraméternek számít a termikus felbontás a következő alkalmazások esetében:

- biológiai (orvosi, élettani, kutatási, környezetfigyelési) mérések - környezetvédelem, katasztrófavédelem (pl. belvíz felmérés, árvízvédelmi gátak átázása) - épület-termográfia (lakóépületek, ipari létesítmények, hűtőházak) - vezeték-helyzetek meghatározása, nedvesség és szivárgás felderítés - hőérzékeny technológiák felügyelete - roncsolásmentes anyagvizsgálatok, aktív termográfiai mérések - extrém alacsony hőmérsékletek érzékelése Hőmérséklet-mérési tartomány(ok) Nagyon gyakran felmerül az igény, hogy a hőkamera tudjon "magasabb" hőmérsékleteket is mérni. Mintha ez valamilyen nehéz eladat lenne! De nem az. A legtöbb (akár legolcsóbb) hőkamera is minimum 120°C-ig mér, de akár 200, 250 vagy 350°C-ig "kinyújtott" méréstartományú LowCost és "standard" hőkamerák is vannak egyaránt szép számmal. Sokkal érdekesebb kérdés, hogy a mérési képességük hány °C-tól kezdődik, milyen felbontásban (hány bites digitalizálással) illetve hány választható méréstartományra felbontva fedi át a teljes mérési képességét. Ugyanis csak az összes felsorolt adat ismeretében kiderül, hogy milyen képességű ill. mérési pontosságú (minőségű) az adott hőkamera. Az első megemlítendő minőségi paraméter a hőmérséklet-értékek digitalizálásra vonatkozik. Léteznek 12, 14 vagy akár 16 bites készülékek, melyek a kritikus legalacsonyabb (ill. egyetlen) méréstartományukon belül 160, 200, 240 vagy akár 360°C hőmérsékletet ölelnek át. A várható pontosság igen szélsőséges: egy 12 bites LowCost hőkamera egyetlen egy -10°C ... 350°C-os méréstartománnyal éppen hogy 360K/4096 = ±87,9 mK digitalizálási felbontással rendelkezik, egy professzionális hőkamera (több választható méréstartománnyal) ezzel szemben 160K/65536 = ±2,4 mK. Ez nagyságrendi különbség! A második lényeges műszaki jellemző a hőkamera mérési tartomány alsó határa. Mivel a Planck-féle sugárzási törvénynek megfelelően pont az alacsony hőmérsékletek mérése a legnehezebb (mivel csupán minimális mennyiségű sugárzást bocsájtanak ki a testek). Ez a feladat tehát a méréstechnikailag gondod okozó - már előbb említett - NETD elnevezésű, hőkamera saját zajára visszavezethetően a legkritikusabb. Ennek megfelelően a LowCost hőkamerák legtöbbje éppen hogy 0°C-től képes kalibrált mérésekre, néhány típus büszkélkedhet -10°C-os alsó határral és csak nagyon ritkán előfordul a -20°C-os alsó határ. Ezzel szemben a hosszúhullámú profi műszerek már -40°C-tól képesek specifikációjuknak megfelelően pontos (és kalibrált) mérésre. Sok feladatnál (pl. épület-termográfiai külső méréseknél, biológiai vagy környezetvédelmi méréseknél) ez az a hőkamera alkalmazhatóságát eldöntő paraméter, mert garantáltan előfordulnak akár messze 0°C alatti hőmérsékletű mérőpontok is. A hőkamerák méréstartományának (legfelsőbb tartományának) felső határa méréstechnikailag már sokkal egyszerűbb, mert az előbb említett sugárzásfizikai törvényszerűségnek köszönhetően bőségesen van érzékelhető sugárzás magas hőmérsékletű tárgyak esetén. Legfeljebb a megfelelően lerövidített integrálási idők, majd (magasabb tartományokban) megfelelő blendék alkalmazásával biztosítani kell, hogy az érzékelő lineáris detektálási tartományban maradjunk (és természetesen ne "süssük" meg). LowCost hőkamerák esetén a belső blende helyett megfelelő csillapítással (kellőképpen alacsony áteresztő képességgel) rendelkező - a lencse elé csavarózandó - szűrőket alkalmaznak a méréstartomány bővítése érdekében. Ez egy kifejezetten olcsó megoldás, de természetesen nem éppen hasznos a mérési pontosság szempontjából. Azonban az igazán magas hőmérsékletű kalibrálásnak van még egy gyakorlati műszaki korlátja. Ugyanis jelenleg max. 2000°C ill. 2500°C hőmérsékletűek a legmagasabb hőmérsékletű, az ideális sugárzót (fekete testet) akár 99,9999%-osan megközelítő üreges referenciasugárzók. Még ennél is magasabb hőmérsékletekre történő kalibráció ezért már csak matematikai eszközökkel (extrapolációval) valósítható meg, aminek sajnos igen komoly bizonytalanságai vannak. A hőkamerák kalibrálásáról és a kalibrálási tartományokról a következőkben viszont még néhány kiegészítő információkat is adunk, mert gyakran igen félrevezetően használják ezeket a fogalmakat.

  1. A hőkamerák mérési tartományai (ill. kalibrálási tartományai) mindig a fekete test sugárzására vonatkoznak: tehát a gyakorlatban előforduló testek 100%-nál alacsonyabb emissziós képessége miatt a méréshatárnál magasabb hőmérsékletek is mérhetők, pontosan és a hőkamera károsodási veszélye nélkül. Például egy 50%-os emissziós képességű sugárzó 150°C-on csupán annyi hosszúhullámú sugárzást ad le, mint egy 100°C-os ideális sugárzó! És egy 25%-os emissziós képességű sugárzó ugyanennyi sugárzást csak 250°C-on ad le! (Megjegyzés: ezek természetesen csak nagyságrendi adatok!)
  2. A hőkamerák új objektívvel való utólagos ill. az időszakos újra-kalibrálását (korrekcióval együtt) CSAK a hőkamera (saját) gyártója végezheti el. Ugyanis a hőkameragyártó a kalibrálás során egy pixelenként értelmezett kalibrációs adatfájlt készít, melyet a hőkamerába eltárol és amelyet a hőkamera a pixelenkénti hőmérséklet-számítás során felhasználja az érzékelő és objektív együttes tulajdonságainak korrekciójához. Az ezzel kapcsolatos Know-How-t viszont egy hőkameragyártó sem adja ki harmadik személynek.
  3. Ha csupán a mérési képesség dokumentálását kérnénk, akkor ezt a gyártókon kívül más kalibráló laborok is elvégezhetnének, ha megfelelő (a hőkamera mérési pontosságánál egy nagyságrenddel pontosabb) referenciasugárzókkal fel vannak szerelve. A kalibráló labornak azonban ilyenkor őrült nagy feladata lesz, mert dokumentálni kellene MINDEN egyedi pixelről annak mérési pontosságát a hőkamera minden egyes mérési tartományban kellőképpen gyakoriságú hőmérséklet-értékeken. Ez a gyártók által megvalósított (éppen ezt tartalmazó) automatizált kalibrálási folyamathoz képest egy elképesztő hosszú és terjedelmes munkafolyamat lenne, mely gazdaságilag kifizethetetlen. A kalibrálást ezért egy-két "referencia-hőmérséklet"-re korlátozni, vagy csak a hőkép középső pixeléről meghatározni annak hőmérséklet-mérési pontosságát, már legfeljebb egypontos hőmérséklet-mérési ellenőrzésnek nevezhető, de semmiképpen a hőkamera kalibrálásának.
  4. Hőkamerák hitelesítése pedig egyáltalán nincs. Egyrészt a hőkamerák nem szerepelnek a hitelesítendő eszközökre vonatkozó törvény felsorolási mellékletében, másrészt maga a hőkamerák kalibrálására sincs Magyarországon akkreditált intézmény. Így akkreditált kalibrálás hiányában hitelesítésre sem képes senki sem. (Még ha a törvény így rendelkezne, akkor sem.) A hitelesített hőkamerával való munkavégzés felkínálása vagy egy ilyen tulajdonság valótlan dokumentálása ennek értelmében a fogyasztók megtévesztése, amit a PTK bünteti.

Mobil hőkamerák helyszíni kiértékelési funkciói

A termográfia - mint "képalkotó" érintésmentes hőmérséklet-mérési eljárás - során első lépésként a mérési adatok (sugárzásintenzitás digitalizált értéke mindegyik pixelről) gyűjtésére kerül sor. Ezek az értékek akár rögtön a mérés során (a hőkamerában) vagy a későbbi kiértékelés során megfelelően feldolgozandók, matematikailag korrigálandók (hőmérsékletre átszámolandók) és ezután megjelenítendők. A konkrét mérési feladattól függően igen különbözőek a hőképek kiértékelésére vonatkozó követelmények. Amíg egyes esetekben egy-egy képpont (mérőpont) konkrét hőmérsékletének számszerű meghatározása elegendő, úgy más esetekben pedig az egész hőkép minden egyes pixelének emisszióértékének korrekciója vagy akár teljes képsorozatok felvétele és kiértékelése szükséges a kívánt hőmérséklet-összefüggések ill. folyamatok (például hőmérséklet-idő-diagram formájában történő) kiértékeléséhez. Gyakran már a mérés közben (akár valós időben) szükséges az adatok kiértékelése és hőmérséklet­értékként "feldolgozott" megjelenítése. Az ún. élő kiértékelés gyakorlatilag a hőkamerákban lévő kezelői szoftver részét ill. „beépített“ bővítését jelenti, így kezelése is beintegrálódik a hőkamera üzemeltetésének folyamatába. A következő táblázat felsorolja a modern (professzionális) hőkamerákba beépített / beépíthető "automatikus" segédfunkciókat és valós idejű kiértékelési lehetőségeket (teljesség igénye nélkül):

Funkció Magyarázat
Autófókusz a hőkép fókuszálása a legmeredekebb hőmérséklet-gradiens alapján
Automatikus méréshatár mérés- (kalibrálási) tartomány beállítása az aktuális mérés szerint
Automatikus hőkép-skálázás megjelenítés-skálázás az aktuálisan mért min/max értékek alapján
Hőmérséklet-színskála több választható szín- és/vagy szürke-skála értékfeltüntetéssel
Képpont-hőmérséklet kijelzése a hőkép középső pixelének hőmérsékletének élő kijelzése
Kurzoros hőmérséklet-kijelzés egy vagy több mozgatható kurzor hőmérsékletének élő kijelzése
Min/Max hőmérséklet-kijelzés a leghidegebb / legmelegebb pixel helyének és értékének kijelzése
Többfelületes hőmérséklet-kijelzés definiálható felületek átlag-, csúcs-, vagy minimumérték kijelzése
Izotermák kijelzése definiált hőmérséklet-tartományú pixelek egyszínű kiemelése
Különbségképző képmegjelenítés hőmérséklet-eltérések ábrázolása referencia-hőképhez képest
Hőképátlagolás több hőkép átlagának képzése (zajelnyomás, érzékenységnövelés)
Hőmérséklet-riasztás vizuális / akusztikus riasztás minimum ill. maximum túllépése esetén
Automatikus tárolás hőmérséklet-érték függően triggerelt automatikus mérés-tárolás
Kompozit képmegjelenítés vizuális kép (fénykép) és hőkép folyamatos (élő) egymásra vetítése
Hőképsorozat tárolása hőképadat sorozat-tárolása a hőkamerában (PC csatlakozás nélkül)
Digitális hangrögzítés akusztikai kommentár hozzáfűzése a tárolt hőkép-adatokhoz
GPS-adatok kezelése földi és légi járműves hőképfelvételek térképészeti hozzárendelése
Távvezérelhetőség hőkamera-funkciók távvezérelhetősége (kábellel vagy kábel-nélkül)

Táblázat: a hőkamera kezelői szoftverébe beintegrált kiértékelési / kezelési funkciók

Minél több ilyen funkciót találunk a hőkameránkban, annál sokoldalúbb annak alkalmazhatósága és annál kényelmesebb és hatékonyabb a helyszíni munkavégzés. Az említett kiértékelési lehetőségekből kiemelnénk a mérések tárolásának hőmérséklet­függő indítását, mely gyakran ez igen sokat segít a nem előre látható időpontú termikus események rögzítésénél. Gyors folyamatok esetében pedig a hőképsorozat-rögzítési funkció jelenti a megoldás, kihasználva a termográfia utolérhetetlen előnyét: még akár másodpercek töredéke alatt lezajló termikus folyamatok rögzítésére van mód. A hőkamerába beépített kompozit (egyes cégeknél "fúzió"-nak is elnevezett) képmegjelenítésnek köszönhetően pedig nem kell már a dokumentációhoz külön fényképeket készíteni és befűzni, ami igen számottevő időmegtakarítási lehetőség. Sőt, az így megvalósított hőkép és fénykép egymásra vetítésénél sehogyan nem lehet jobban (és könnyebben felismerhetően) grafikusan dokumentálni a tárgy hőmérséklet-összefüggéseit.

Speciális termográfiai szűrők hőkamerákhoz

Rengeteg olyan mérési feladat van, amely megvalósításához nem elég csak a megfelelő spektrális érzékenységű (hullámhossz-tartományú) hőkamerát kiválasztani, hanem a mérni kívánt tárgyhőmérséklet vagy fizikai jelenség érzékeléséhez ezen túl még speciális, infravörös hullámhossz-tartományú szűrők is szükségesek. Hőkameratípustól és -kiviteltől függően a szűrők vagy kívülről (a lencse elé) helyezendők (mint pl. a CO2 lézer-védő szűrők) vagy beépítésre kerülnek a hőkamerán belül elhelyezett szűrőválasztó forgótárcsába, mely a szűrők szoftveres kiválasztását teszi lehetővé (nagyon fontos pl. az üvegfelületi és üvegen-át szűrők esetén izzószálas és ívplazmás fényforrások belső alkatrészeinek és üveg- vagy kerámiaburainak bevizsgálása során). A következő felsorolás csupán néhány (leggyakrabban előforduló) szűrőt tartalmazza:

MWIR (2 - 5 µm)
BP: 3,6 - 4 µm csökkenti az atmoszféra hatását
HP: 3,6 µm csökkenti a nap visszaverődését
NBP: 2,3 µm mérés üvegen-át
NBP: 5,0 µm mérés üvegfelületen
BP: 3,7 - 4 µm mérés lángokon át
BO: 3,9 µm méréstartomány-növelés
NBP: 4,25 µm láng-hőmérséklet érzékelése
NBP: 4,25 µm polietilén spektrális vonala
LWIR (7,5 - 14 µm)
NBP: 8,3 µm teflon spektrális vonala
HP: 7,5 µm rövidebb hullámhosszok kizárása
NBP: 10,6 µm CO2 lézer védőszűrő
Hőkamera-választék 2014 - Termikus felbontás - Termográfiai szűrők (forrás: Infratec)
Ábra: termográfiai szűrők [forrás: InfraTec]

Infravörös szűrőket igénylő alkalmazások (példák) Szinte klasszikusnak mondhatók az üveggel kapcsolatos mérési feladatok. Akár csak az üvegfelület pontos hőmérsékletét, akár az üveg mögött található (magas hőmérsékletű) tárgy hőmérsékletét kívánjuk meghatározni, szükségünk van egy középhullámhossz-tartományú hőkamera. És megfelelő szűrők is kellenek még hozzá, mert nélkülük "összeadódik" az üvegen át érkező és az üveg saját hőmérséklete révén felületéről leadott sugárzás. Ha pedig megfelelő szűrővel a 3,5 µm-nél rövidebb sugárzást kizárjuk, akkor csak az üveghőmérsékletet képviselő sugárzást érzékelünk, egy másik - 3,5 µm-ig átengedő képességgel rendelkező - szűrővel pedig pont csak az üvegen átjutó sugárzást érzékelnénk, ami pont az üveg mögött rejlő tárgy hőmérsékletével arányos hősugárzás.

Hőkamera-választék 2014 - Termikus felbontás - Szűrők alkalmazásának hatása (forrás: Infratec)
Ábra: balra szűrő nélküli, közép üvegen-át szűrős, jobbra üveg-felületi szűrős mérés [forrás: InfraTec]

  Szinte szűrőt kívánnak mindazok a mérési feladatok, amelyek során égő gázok hőmérsékletét, vagy éppen az égési folyamatok által melegített tárgyak hőmérsékletét meg akarjuk határozni (az utóbbi esetben lehetőleg a lángok által kibocsájtott sugárzás mérésünkre gyakorolt hatása nélkül.) Amíg az első esetben ehhez egy középhullámos hőkamera mellett még egy 4,25 µm-es keskeny-sávú szűrő kell, az utóbbi ugyanezzel a hőkamerával és egy 3,7 - 4 µm sávszűrővel ill. egy hosszúhullámú hőkamerával (gyakorlatilag szűrő nélkül) is megoldhatjuk.

Hőkamera-választék 2014 - Termikus felbontás - Láng-hőmérséklet mérése (forrás: Infratec)
Ábra: láng-hőmérséklet mérése [forrás: InfraTec]

  A további - szűrők nélkül csak pontatlanul vagy egyáltalán nem megoldható - mérési feladatok közül a nagyon vékony műanyagok (fóliák) hőmérsékletének meghatározását emelnénk ki. Ha tudjuk, hogy a fólia melyek hullámhosszakat képes elnyelni, tudjuk azt is, hogy a Kirchhoff-féle törvény szerint ugyanezeken a hullámhosszakon képes a saját hőmérsékletével összefüggő sugárzás kibocsájtásra. Egy éppen erre a hullámhosszra - pl. polietilén esetén 3,4 µm-re - szűkített lyukszűrővel lehetővé válik tehát a fólia hőmérsékletének meghatározása függetlenül attól, milyen hőmérsékletű tárgyak vannak a hátterében.

Hőkamera-választék 2014 - Termikus felbontás - Polietilén transzmissziós jelleggörbéje (forrás: Infratec)
Ábra: polietilén fólia átviteli tulajdonsága [forrás: InfraTec]
Hőkamera-választék 2014 - Termikus felbontás - Vékony fólia hőmérséklet-merese (forrás: Infratec)
Ábra: 50 µm vastag polietilén fólia hőmérséklete [forrás: InfraTec]

  Szintén ajánlatos szűrőket alkalmaznunk, amikor szolárcellákat üzem közbeni bevizsgálását kívánunk elvégezni. Mivel ezek a cellák csak napsütés hatására működnek, természetesen napsütés alatt elvégzendő a mérés. E közben pedig felületükön igen erősen jelen lesz a napsugárzás reflexiója, amely a napcellák saját hőmérsékletével összehasonlítva hatalmas (nagyság­rendekkel nagyobb) energiatartalmú és így méréseink­re ennek megfelelő nagyságrendű hatással is lesz. Ennek kivédésére középhullámú és hosszúhullámú hő­kamerákhoz egyaránt speciális - napreflexió-csökkentő - szűrőket kínálnak.

Hőkamera-választék 2014 - Termikus felbontás - Szolárcellák termográfiai ellenőrzése (forrás: PIM)
Ábra: napcellás tetőfelület bevizsgálása [forrás: PIM]

  Vigyázat lézeres technológiák esetén! Nem egy gyártónak van már kész gyűjteménye "I love You" feliratú és szíves díszítésű hőkamera-detektorokból - pedig a legtöbb lézer nem is dolgozik a hőkamerák által érzékelt hullámhosszakban. S mégis tönkre tudják tenni a hőkamerák érzékelőit, mert hihetetlen nagy energiasűrűséggel dolgoznak! A hőkamerák bemeneti lencse és maga a hőérzékelő burkolata (fedőrétege) az a hőkamera típusának megfelelő atmoszferikus ablakhoz tartozó hullámhossztartományra lehetőleg közel 100%-os átengedő képességgel rendelkeznek, az e kívül eső hullámhosszokra a transzmissziójuk minimális- de nem nulla! Ebből kifolyólag a nagy teljesítmény-sűrűségű lézerek egészen az érzékelőig átjutó "maradék"-sugárzásintenzitása még mindig elég lesz ahhoz, hogy sérüljön a hőkamera detektora. És ez nem csak a közvetlen lézersugara igaz, hanem még a mérendő tárgy által reflektált lézersugarakra is. Ennek megfelelően célszerű ún. lézervédő szűrőket (védőablakokat) alkalmaznunk. Különösen ez igaz az éppen a hosszúhullámú hőkamerák által detektált hullámhosszban működő CO2 (10,6 µm) lézer esetén. Gázszivárgás-kereséshez is speciális szűrők szükségesek, még hozzá mindig pont annak a gázra "hangolt" hullámhosszal, melyet detektálni kívánunk. Ebből viszont az is adódik, hogy azok a gázok melynek abszorpciós sávja éppen nem esik egyetlen egy atmoszferikus ablak hullámhosszai közé, nem érzékelhetők. Azok pedig, melynek spektrális vonalai csak a középhullámú atmoszferikus ablakban találhatók meg, csak ideális (laborkörülmények között) nagyon nagy érzékenységű fotondetektoros hőkamerákkal kimutathatók. Marad már csak egy-néhány olyan gáz, mely a hosszúhullámú tartományban érzékelhető, de a legjobb szűrők ellenére ez is csak magas gázkoncentrációk esetén kecsegtet sikerrel. Több nagyság­renddel olcsóbb és ezerszer megbízhatóbb gázszivárgások keresését ultrahang-detektálással elvégezni - akár szikrázó napsütésben is. Ez sűrített levegőrendszereken is működik, ami termográfiával természetesen már elvileg is kizárt.  

Hőkamera-választék 2014 - Termikus felbontás - CO2-szivárgás kimutatása termográfiával (forrás: Infratec)
Ábra: CO2-szivárgás [forrás: InfraTec]

Rahne Eric  (PIM Kft.) pim-kft.hu, gepszakerto.hu  

Kapcsolatfelvétel

A publikáció tartalmát szerzői jogok védik, ennek (akár csak részben történő) felhasználása, elektronikus vagy nyomtatott tovább-publikálása csak a forrás és a szerző nevének feltüntetése mellett, valamint a szerző előzetes írásos engedélyének megléte esetén megengedett. A szerzői jogok (Copyright) megsértése jogi következményekkel jár.

Copyright © PIM Professzionális Ipari Méréstechnika Kft.
2026 | Minden jog fenntartva
Impresszum | Adatkezelés

Hőkamera-választék 2014 - Termikus felbontás